조황관리HOME / 조황관리 / 상세정보

제목 : 4월1일 제주포세이돈호 갑오징어조황 입니다
등록일 : 2026-04-01
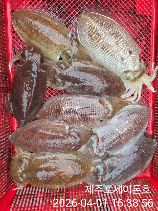
4월 1일 갑오징어조황 입니다 
어제 하루쉬고 서쪽으로 나갔습니다 
갑이 양이적은건지 입질이 약은건지
좀처럼 잡아내질 못합니다 

가끔 한두마리 올라오기는 하는데
전반적으로 양이 적네요
씨알이 좋아 아직 여기서 조업을 하고 있는데
양이 안되면 내려가야 할듯합니다

이번 주말까지 해보고 월요일부터 내려갈지
결정을 해야할듯 합니다

장원은 이천에서 오신 조성만 사장님 26수 입니다
16,  9, 9, 8, 8 ....
다녀가신조사님들 수고하셨습니다 
감사합니다 
예약문의 010-5204-7199

1000032472.jpg


1000032473.jpg


1000032477.jpg


1000032478.jpg


1000032480.jpg


1000032481.jpg


1000032482.jpg


1000032500.jpg


1000032499.jpg


1000032501.jpg


1000032502.jpg


1000032503.jpg


1000032505.jpg


1000032506.jpg


1000032507.jpg


1000032508.jpg

 


=== [제주] 포세이돈호 예약안내 ===


예약문의 : 010-5694-7199

오시는길 : 제주시 애월읍 애월해안로 93

홈페이지 : http://poseidonho.sunsang24.com/


모바일.jpg 



Top