조황관리HOME / 조황관리 / 상세정보

제목 : 3월 28일 제주포세이돈호 갑오징어조황 입니다
등록일 : 2026-03-28
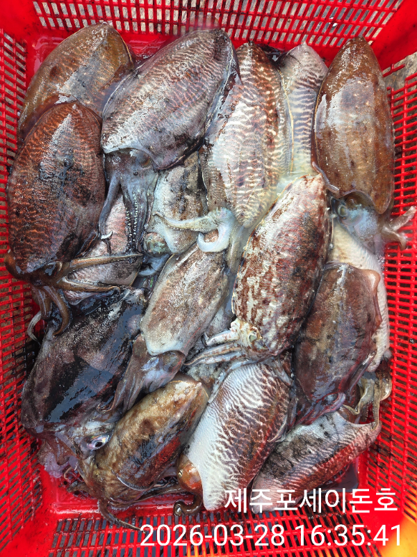
3월 28일 갑오징어조황 입니다 
오늘은 서쪽에서 시작을 합니다
날씨도좋고 물색도 좋습니다 
시작하자 갑이 올라오기는 하는데
역시나 낮마리 입니다
요즘 좀처럼 여기저기서 뜰채질할일이 별루 없습니다 

아래쪽은 조금 숫자는 되는데 씨알이 잘다고해서
한마리라도 큰씨알잡자 싶어 그냥 갑니다
식사후 입질이 너무없어 좀더 멀리 나갔습니다 

다행이 한마리 한마리 물어주네요
배가 후미로 진입을 하는데 올리시다 계속 떨구십니다
보는저도 안타까운데 당자자 마음은 오죽하겠습니까

장원은 어제에이어 이천에서 오신 김교중 사장님
32수 입니다
20, 18, 16, 15, 14.....
다녀가신조사님들 수고하셨습니다 
감사합니다 
예약문의 010-5204-7199

1000032124.jpg


1000032125.jpg


1000032126.jpg


1000032129.jpg


1000032130.jpg


1000032131.jpg


1000032145.jpg


1000032150.jpg


1000032152.jpg


1000032157.jpg


1000032158.jpg


1000032160.jpg


1000032161.jpg


1000032159.jpg


1000032162.jpg


1000032163.jpg


1000032164.jpg


1000032165.jpg


1000032276.jpg


1000032277.jpg

 


=== [제주] 포세이돈호 예약안내 ===


예약문의 : 010-5694-7199

오시는길 : 제주시 애월읍 애월해안로 93

홈페이지 : http://poseidonho.sunsang24.com/


모바일.jpg 



Top