조황관리HOME / 조황관리 / 상세정보

제목 : 3월 27일 제주포세이돈호 갑오징어조황 입니다
등록일 : 2026-03-27
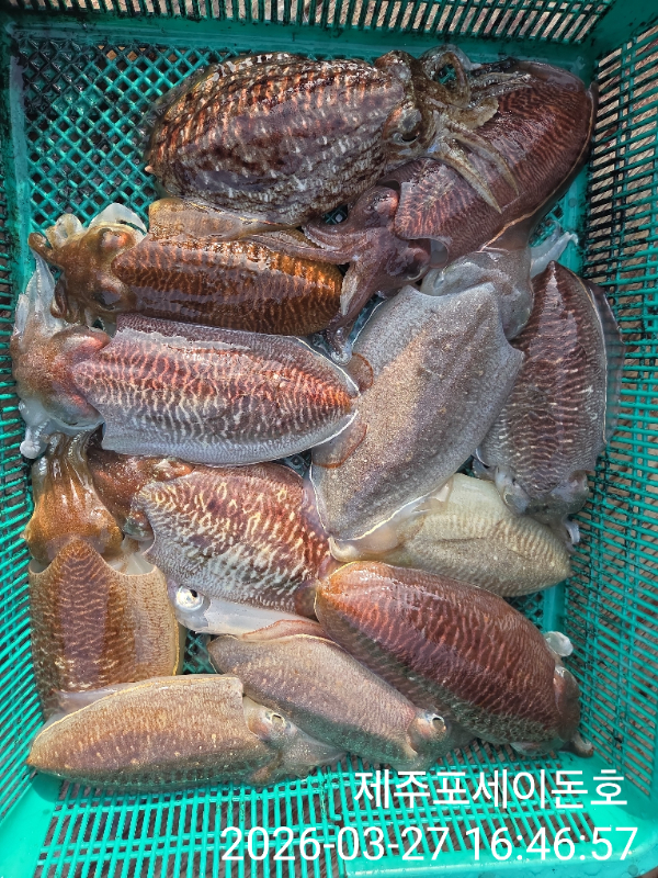
3월 27일 갑오징어조황 입니다 
오늘은 동쪽으로 나갔습니다 
바다가 장판깔아놓은듯 미동도 없습니다 

시작이 들물에 조금이라 움직이질 안습니다 
인위적으로 움직이다보면 한마리식 올라오기는
하는데 줄엉킴이 생깁니다

물이 바뀌면서 배가움직이니 올라오기는 하는데
낮마리 조황입니다
이동도 두차례 해보았지만 별다른 소득이 없습니다 

멀리 캐스팅해서 잡으시는분들은 좀더 잡으셨지만
평균조황은 아쉬운 조황입니다
장원 어제에 이어 이천 김교중 사장님 24마리 입니다
20, 18, 17, 16, 14......
다녀가신조사님들 수고하셨습니다 
감사합니다 
예약문의 010-5204-7199

1000031996.jpg


1000032001.jpg


1000032002.jpg


1000032003.jpg


1000032012.jpg


1000032082.jpg


1000032083.jpg


1000032084.jpg


1000032091.jpg


1000032086.jpg


1000032087.jpg


1000032088.jpg


1000032089.jpg


1000032090.jpg


1000032094.jpg


1000032098.jpg


1000032104.jpg


1000032105.jpg

 


=== [제주] 포세이돈호 예약안내 ===


예약문의 : 010-5694-7199

오시는길 : 제주시 애월읍 애월해안로 93

홈페이지 : http://poseidonho.sunsang24.com/


모바일.jpg 



Top