조황관리HOME / 조황관리 / 상세정보

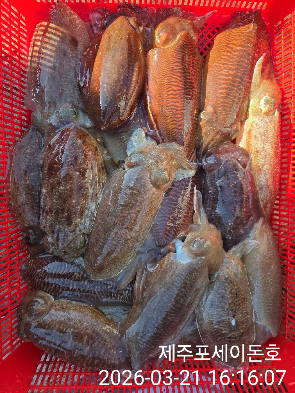
제목 : 3월 21일 제주포세이돈호 갑오징어조황 입니다
등록일 : 2026-03-21
3월 21일 갑오징어조황 입니다 
오늘은 주말에 모처럼 바다날씨가 화창합니다
날씨처럼 갑이도 올라와주길 기대하면서
멀리 서쪽으로 나갔습니다 

풍을놓고 배가 안정되자 갑이 입질이 들어옵니다
돌아가면서 한마리식 올라옵니다
이번주는 썰물보다 들물에 더물어주는듯합니다

물이 들물로 바뀌면서 입질이 들어옵니다
서쪽시즌이 막바지로 가면서 폭발적인 입질은
아니지만 씨알좋은 갑들이 올라옵니다

따문따문 올라오다 한동안 입질이 끊기기도 했지만
그래도 마칠때까지 입질은 이어졌습니다
오늘오신 조사님들이 열심히 해주신덕분에 
요며칠 조황중에서 오늘이 좋았습니다 

장원은 전주에서 오신 백기봉사장님 33수 입니다
26, 26, 24, 23, 23, 20...
10마리를 못넘기신분도 두분 계십니다
다녀가신조사님들 수고하셨습니다 
감사합니다 
예약문의 010-5204-7199

1000029054.jpg


1000029058.jpg


1000029060.jpg


1000029061.jpg


1000029062.jpg


1000029081.jpg


1000029089.jpg


1000029090.jpg


1000029091.jpg


1000029092.jpg


1000029092.jpg


1000029094.jpg


1000029097.jpg


1000029099.jpg


1000029102.jpg


1000029107.jpg


1000029105.jpg


1000029106.jpg


1000029104.jpg


1000029101.jpg

 


=== [제주] 포세이돈호 예약안내 ===


예약문의 : 010-5694-7199

오시는길 : 제주시 애월읍 애월해안로 93

홈페이지 : http://poseidonho.sunsang24.com/


모바일.jpg 



Top